Haïti – Ouragan Melissa : le bilan s’alourdit à Petit-Goâve, au moins vingt morts et plusieurs disparus

Haïti – Ouragan Melissa : le bilan s’alourdit à Petit-Goâve, au moins vingt morts et plusieurs disparus

Le passage de l’ouragan Melissa continue de semer la désolation en Haïti. À Petit-Goâve, le nombre de victimes ne cesse d’augmenter. Selon les autorités locales, au moins vingt personnes ont perdu la vie et plusieurs autres sont toujours portées disparues.

OPTIMISTE.INFO, 29 octobre 2025 — Parmi les victimes, l’on compte cinq membres d’une même famille, emportés par les crues soudaines de la rivière La Digue. Cette dernière est sortie de son lit à cause de fortes pluies. Jonathan, un maçon du quartier, a vu sa maison submergée. Il a perdu quatre proches, dont les corps sont toujours coincés sous les décombres et la boue.

Les opérations de secours sont en cours, menées par la Protection civile, des bénévoles et les autorités locales. Cependant, les conditions sont extrêmement difficiles : routes endommagées, éboulements et montée des eaux ralentissent la recherche des survivants.

Face à la gravité de la situation, les autorités appellent à la prudence. Les habitants vivant près des rivières sont invités à rejoindre des zones plus sûres. Par ailleurs, les sinistrés lancent un appel urgent pour recevoir abris, nourriture, eau potable et soins médicaux.

Cette nouvelle catastrophe met en lumière, une fois de plus, la vulnérabilité d’Haïti face aux phénomènes climatiques extrêmes. Après plusieurs drames récents, la tempête Melissa confirme l’urgence de renforcer les capacités de prévention et d’intervention dans les communes côtières.

La Rédaction

Haïti : Suspension des cours jusqu’à nouvel ordre dans les zones en alerte rouge à cause de l’ouragan Mélissa

Haïti : Suspension des cours jusqu’à nouvel ordre dans les zones en alerte rouge à cause de l’ouragan Mélissa

Face à la menace croissante de l’ouragan Mélissa, désormais classé en catégorie 5, le ministre de l’Éducation Nationale et de la Formation Professionnelle (MENFP), Antoine Augustin, a annoncé la fermeture temporaire de toutes les écoles situées dans les départements placés en alerte rouge.

OPTIMISTE.INFO,le 29 Octobre 2025. Cette décision, prise à titre préventif, vise à protéger les élèves, les enseignants et le personnel administratif contre les risques liés aux vents violents, aux inondations et aux glissements de terrain que pourrait provoquer le passage du cyclone.

Le ministre a précisé que la mesure restera en vigueur jusqu’à nouvel ordre, selon l’évolution de la situation météorologique. Il a également invité les directions d’écoles à rester attentives aux consignes des autorités locales et à prioriser la sécurité de leurs communautés éducatives. Les établissements scolaires sont par ailleurs encouragés à sécuriser leurs infrastructures afin de limiter les dégâts matériels éventuels.

Antoine Augustin a aussi exhorté les écoles disposant de moyens technologiques et d’un accès à Internet à maintenir les activités d’enseignement à distance, dans le but d’assurer une continuité pédagogique malgré la suspension des cours en présentiel.

Le patrón dudit ministère affirme suivre de près l’évolution de l’ouragan Mélissa et promet de publier des mises à jour régulières afin de tenir le public informé des prochaines décisions.

La Rédaction

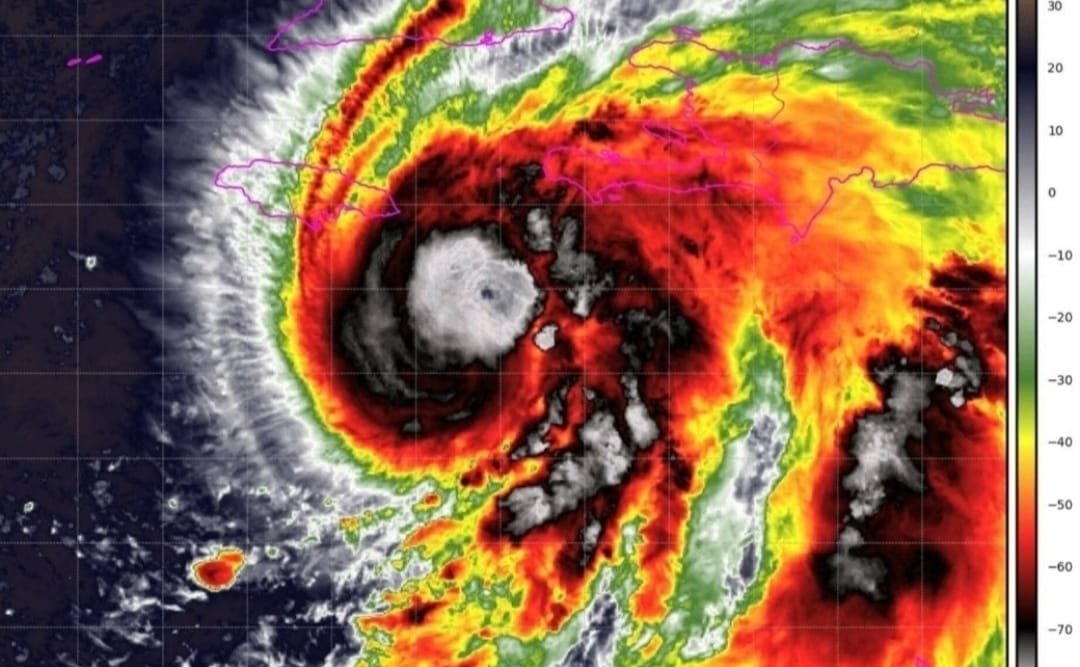
Haïti en alerte rouge face à l’ouragan Mélissa

Haïti en alerte rouge face à l’ouragan Mélissa

Face à la menace grandissante de l’ouragan Mélissa, les autorités haïtiennes ont étendu, ce mardi, la vigilance rouge à cinq départements du pays : l’Ouest, les Nippes, le Sud, le Sud-Est et la Grand’Anse. La Protection civile appelle la population à la plus grande prudence, évoquant des risques majeurs d’inondations, de glissements de terrain et de vents violents.

OPTIMISTE.INFO,le 29 octobre 2025.Selon les prévisions de l’Unité hydrométéorologique d’Haïti (UHM), de fortes averses accompagnées de rafales intenses devraient toucher, dès la soirée, l’ensemble des zones placées en alerte. Les autorités recommandent vivement aux habitants d’éviter les zones à risque, notamment les lits de rivières, les pentes instables et les côtes exposées aux fortes vagues.

Les services d’urgence demeurent mobilisés et suivent de près l’évolution du système dépressionnaire, qui pourrait encore se renforcer dans les prochaines heures.

Par mesure de précaution, le gouvernement a annoncé que la journée du mercredi 29 octobre serait chômée, afin de réduire les déplacements et de limiter les impacts liés au passage de l’ouragan Mélissa sur le territoire.

La Rédaction

.

.

Ouragan Melissa : le gouvernement décrète une journée de chômage national pour protéger la population

Ouragan Melissa : le gouvernement décrète une journée de chômage national pour protéger la population

Face à la menace imminente de l’ouragan Melissa, désormais classé catégorie 5, le Secrétariat général de la Présidence a annoncé, ce mardi 28 octobre, la déclaration d’une journée de chômage national pour le mercredi 29 octobre 2025 sur l’ensemble du territoire.

OPTIMISTE.INFO,le 29 octobre 2025. Cette mesure exceptionnelle vise à protéger la population et à réduire les risques liés aux vents violents et aux fortes pluies annoncées. Elle concerne tous les secteurs d’activité, y compris les écoles, entreprises et commerces, qui devront suspendre leurs opérations durant la journée.

Le Conseil Présidentiel de Transition (CPT) a par ailleurs instruit le gouvernement et les autorités locales d’activer immédiatement les plans de prévention et de secours, en coordination avec le Système national de gestion des risques et désastres (SNGRD).
Des équipes de secours, appuyées par la Police nationale d’Haïti (PNH), ont déjà été déployées dans plusieurs zones jugées vulnérables.

Les autorités exhortent la population à respecter scrupuleusement les consignes de sécurité, à éviter tout déplacement non essentiel et à suivre les bulletins officiels pour se tenir informée de l’évolution de la situation.

Cependant, en dépit du contexte d’urgence, le climat politique demeure tendu. Le parti Konviksyon pou Ayiti maintient son appel à une journée de protestation dans la ville des Gonaïves, réclamant la dissolution du Conseil Présidentiel de Transition.Une initiative que plusieurs observateurs jugent hautement risquée, compte tenu des conditions météorologiques extrêmes prévues.

La Rédaction

Justice : 12 magistrats écartés pour non-certification

Justice : 12 magistrats écartés pour non-certification

Le Conseil Supérieur du Pouvoir Judiciaire (CSPJ) a annoncé l’exclusion prochaine de douze magistrats du système judiciaire haïtien, à l’issue d’un processus de certification mené du 24 au 26 septembre 2025 lors d’une retraite professionnelle dans un hôtel à Pétion-Ville.

OPTIMISTE.INFO, 21 octobre 2025. Sur les 112 dossiers de magistrats examinés, 73 ont été certifiés, 12 n’ont pas obtenu la certification, et 27 nécessitent des enquêtes complémentaires, selon le procès-verbal de délibération.

Les magistrats non certifiés sont sanctionnés principalement pour incompétence, manque d’intégrité ou absence d’intégrité professionnelle. Voici la liste complète des concernés :

Frito Aristil – Juge et juge d’instruction au TPI du Cap-Haïtien
Motifs : incompétence, manque d’intégrité professionnelle

Jean Mary Evens Bellabe – Suppléant juge au tribunal de paix de Camp-Perrin
Motif : absence d’intégrité professionnelle

Marc-Arthur Bien-Aimé – Juge au TPI des Gonaïves
Motif : absence d’intégrité professionnelle

Romain Calixte – Suppléant juge au tribunal de paix de Limbé
Motif : absence d’intégrité professionnelle

Lubedet Dorsainvil – Juge au TPI des Gonaïves
Motif : absence d’intégrité professionnelle

Bellande Dumerzier – Juge et juge d’instruction au TPI de Petit-Goâve
Motif : absence d’intégrité professionnelle

François Finey – Doyen au TPI de Jérémie
Motif : absence d’intégrité professionnelle

Josias Jean Baptiste – Suppléant juge au tribunal de paix de Plaine-du-Nord
Motif : absence d’intégrité professionnelle

Giordani Joseph – Juge titulaire au tribunal de paix de Ferrier
Motif : absence d’intégrité professionnelle

Henderson Joseph – Suppléant juge au tribunal de paix d’Aquin
Motif : absence d’intégrité professionnelle

Elima Obei – Juge au TPI du Cap-Haïtien
Motif : absence d’intégrité professionnelle

Délicio Vernevil – Suppléant juge au tribunal de paix de la Croix-des-Bouquets
Motif : absence d’intégrité professionnelle

Le CSPJ a précisé que les enquêtes complémentaires pour les 27 autres magistrats permettront de déterminer leur sort dans les semaines à venir.

La Rédaction